População e produtores de laranja apoiam ação da Adapar para defesa da citricultura 15/05/2025 - 09:33
A Agência de Defesa Agropecuária do Paraná (Adapar) e outros atores que atuam no combate ao greening, doença mais agressiva da citricultura, têm conseguido o apoio da maioria da população e proprietários rurais nas áreas em que os citros precisam ser erradicados como medida de controle do inseto vetor. Nesta semana a força-tarefa está concentrada nas regiões de Cornélio Procópio e Londrina, no Norte do Estado.
Cecília Avelar mora desde quando nasceu, há 68 anos, em uma casa em Uraí, às margens da rodovia que liga essa cidade a Cruzeiro do Norte. Nesta terça-feira (13) ela foi surpreendida pela movimentação na garagem municipal, que fica ao lado de sua propriedade. Ali tinham sido destruídas mudas que eram vendidas de forma ilegal por um vendedor ambulante e também foi derrubado um pé de limão.
"Percebi aquela movimentação na garagem e fui ver o que estava acontecendo. O rapaz disse que estavam cortando as árvores", contou Cecília. Ela foi abordada por uma das fiscais da Adapar e imediatamente permitiu o corte de um pequeno pé de limão e um frondoso exemplar de lima, que abastecia não apenas ela, mas vários vizinhos que apreciam a fruta.
"A gente sente uma dor muito grande porque há oito anos tenho esse pé de lima aqui e o pezinho de limão, mas se é para o nosso bem e o bem da natureza, eu concordei que cortassem", afirmou. Enquanto era preparada a motosserra ela trouxe vários saquinhos de plástico e contou com a ajuda de quem ali estava para tirar o máximo possível de limas. "Vou levar para os vizinhos que gostam".
A moradora lembrou que a região já teve muito mais laranja do que abriga hoje. Ela própria tinha laranjas em seu quintal. "Mas aí foi morrendo, morrendo", disse. Também descreveu que as redondezas eram povoadas por pomares maiores. "Disseram que foi preciso cortar porque deu uma doença".
Dona Cecília destacou ainda conhecer pessoas que trabalham na indústria de sucos que a Cooperativa Agroindustrial Integrada possui no município e outras que produzem laranja comercialmente. "Para salvar os empregos temos que fazer algum sacrifício, mesmo com dor no coração. Temos que concordar que é para nosso bem e de todo mundo".
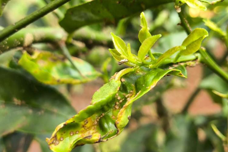
Na casa vizinha à de Cecília a equipe da Adapar encontrou apenas uma pessoa fazendo reformas. Mas da rua era possível ver pés de laranja e limão que apresentavam sintomas da doença e havia necessidade de fazer os cortes. A erradicação é a solução nesses casos, e obrigatória pela legislação. Uma ligação telefônica ao proprietário foi o suficiente para a autorização de corte. Ali os técnicos encontraram o psilídeo Diaphorina citri, vetor da doença, alimentando-se de folhas, um risco grande para as produções comerciais ao redor.
"Fui surpreendido com a aceitação dos donos das propriedades visitadas, que permitiram realizar o trabalho sem problemas", disse o fiscal da Adapar Nelson Kanda. "Não houve resistência". Ele veio de Curitiba para integrar o grupo de 40 servidores de várias regionais da Adapar que estão atuando na Operação BIG Citrus.
RURAL – Os fiscais Orlando Hansen, da Adapar em Santa Cruz do Monte Castelo (Noroeste), e Paulo Ricardo Campos, de Francisco Beltrão (Sudoeste), estão percorrendo as propriedades rurais de Assaí (Norte). "Encontramos algumas propriedades com o greening, que pode colocar em risco a atividade na região, mas os produtores, de forma geral, têm entendido as orientações que são passadas. Eles recebem as notificações para eliminar as plantas sintomáticas com menos de oito anos e a determinação para fazer o manejo adequado", destacou Hansen.
O proprietário do Sítio Monte Alto, Cláudio Massahiro, foi um dos que se engajaram na proposta de salvar a lavoura. Além de laranja, ele produz pitaya, abobrinha, café, banana, lichia, soja e avocado, para o qual pretende conseguir a certificação do Global G.A.P. com vistas à exportação. "É importante tomar todas as medidas para garantir a sanidade vegetal", disse.
Em citros ele possui 5,1 mil pés. Recentemente eliminou 80 plantas que estavam infectadas pelo greening. "Tem outras para serem eliminadas", afirmou. "Tem muitos produtores que são contra ou ficam desconfiados dessa Operação BIG Citros, achando que vão prejudicar os agricultores, mas nós achamos que, pelo contrário, é uma operação necessária e muito importante para tentar manter a citricultura do Paraná", afirmou Massahiro.
Enquanto é dada a orientação e realizadas eventuais autuações, o fiscal Paulo Ricardo Campos atualiza os dados da propriedade, registrando extensão e variedades de citros exploradas com as respectivas produções. "É um levantamento que cumpre as determinações do Ministério da Agricultura e que passa a fazer parte do banco de dados nacional", disse.
As equipes contam com a participação ativa das prefeituras e da Cooperativa Integrada, além da retaguarda garantida pela Polícia Militar. Algumas emissoras de rádio e televisão e jornais da região também estão contribuindo com a difusão das ações e ajudando na conscientização sobre a seriedade da doença e a necessidade da atuação conjunta.
DOENÇA – O HLB ou greening dos citros é atualmente a praga mais importante devido à severidade, rápida disseminação e dificuldades de controle. Ao sugar a seiva de uma planta infectada, o psilídeo leva a bactéria causadora da doença para outras árvores do pomar.
O greening afeta seriamente as plantas provocando queda prematura dos frutos, que resulta em redução da produção e pode levar à morte precoce. Além disso, os frutos ficam menores e deformados. A planta também pode apresentar sementes abortadas, açúcares reduzidos e acidez elevada, o que deprecia o sabor, diminuindo a qualidade e o valor comercial.








